Amtliche Bekanntmachung
Amtliche Bekanntmachung
Genehmigung der FNP-Änderung und Satzungsbeschluss des Bebauungsplans
Die Firma Gebrüder Hosenfeld Sägewerk GmbH beabsichtigt, auf einem ca. 2,8 ha großen Areal südlich von Hainzell eine Freiflächenphotovoltaikanlage zur Eigenversorgung des Sägewerks zu realisieren. Die in der Photovoltaikanlage gewonnene elektrische Energie soll in das firmeneigene Versorgungsnetz eingespeist und direkt im Betrieb genutzt werden. Der erhebliche Strombedarf des Betriebs soll damit langfristig gesichert bzw. selbst gedeckt werden. Mit der Eigenstromversorgung soll riskanten Strompreisschwankungen entgegengewirkt werden. Mit dem Bau der Anlage wird somit ein substanzieller Baustein zur langfristigen Standortsicherung gelegt. Das geplante Vorhaben entspricht damit den Grundsätzen des § 1 (6) Nr. 8a und 8c BauGB, wonach die Gemeinde bei ihrer Planung dem Erhalt, der Sicherung und Schaffung von Arbeitsplätzen sowie den Erfordernissen der Wirtschaft und auch ihrer mittelständischen Struktur Rechnung zu tragen hat.
Die Planung der Gemeinde Hosenfeld sieht die Bereitstellung einer landwirtschaftlichen Fläche für die Realisierung der Freiflächenphotovoltaikanlage vor und möchte an dieser Stelle dazu ein Sonstiges Sondergebiet gem. § 11 (2) BauNVO mit der Zweckbestimmung „Erneuerbare Energien - Photovoltaikanlage“ ausweisen.
Der Geltungsbereich des sonstigen Sondergebiets mit der Zweckbestimmung: „Erneuerbaren Energien- Photovoltaikanlage“ hat eine Gesamtgröße von ca. 2,8 ha und beinhaltet die folgenden Flurstücke: Gemarkung Hainzell, Flur 8, Flst. 22, 23, 39 und 40.
Der artenschutzrechtliche Ausgleich der mit der Umsetzung des Bebauungsplans einhergehenden Eingriffe ist durch CEF-Maßnahmen innerhalb von Zusatzgeltungsbereichen vorgesehen. Diese befinden sich in der Gemarkung Blankenau, Flur 1 und umfassen Teilflächen der Flurstücke 31 und 32. Innerhalb der Zusatzgeltungsbereiche ist die Anlage von Blühstreifen mit angrenzender Schwarzbrache auf einer Fläche von insg. ca. 0,36 ha geplant.
Um dem Entwicklungsgebot zu entsprechen, wird im Zuge der Aufstellung des Bebauungsplanes der Flächennutzungsplan in dem erforderlichen Bereich gem. § 8 (3) S 1 BauGB im Parallelverfahren geändert. Inhalt der Änderung des Flächennutzungsplans ist, den bisher als „Fläche für die Landwirtschaft“ dargestellten Bereich in eine „Sonderbaufläche Photovoltaik“ umzuwidmen.
Hier: Bekanntmachung der Genehmigung der Änderung des Flächennutzugsplans gem. § 6 (5) Baugesetzbuch (BauGB)
Die Gemeindevertretung der Gemeinde Hosenfeld hat in ihrer Sitzung am 25.09.2025 den Feststellungsbeschluss zu der Flächennutzungsplanänderung zum Bebauungsplan Nr. 11 „Freiflächenphotovoltaikanlage Schläberig“ beschlossen und die Begründung einschließlich Umweltbericht mit integriertem Landschaftspflegerischem Fachbeitrag und den Artenschutzrechtlichen Fachbeitrag gebilligt.
Die Genehmigung der Flächennutzungsplanänderung, erteilt am 23.10.2025 (Geschäftszeichen 0030-21-061a10.02.14-00004#2025-00002) durch das Regierungspräsidium Kassel, wird hiermit gem. § 6 (5) BauGB bekannt gegeben.
Mit dieser Bekanntmachung wird die vorgenannte Änderung des Flächennutzungsplans wirksam.
Die Abgrenzung des Änderungsbereiches ist in der nachstehenden Übersichtskarte dargestellt.

Abb. 1: FNP-Änderung zum Nr. 11 „Freiflächenphotovoltaikanlage Schläberig“.
Hier: Inkrafttreten des Bebauungsplans gem. 10 (3) Baugesetzbuch (BauGB)
Die Gemeindevertretung der Gemeinde Hosenfeld hat in ihrer Sitzung am 25.09.2025 den Bebauungsplan Nr. 11 „Freiflächenphotovoltaikanlage Schläberig“ gem. § 10 BauGB als Satzung beschlossen und die Begründung einschließlich Umweltbericht mit integriertem Landschaftspflegerischem Fachbeitrag und den Artenschutzfachbeitrag gebilligt.
Der Satzungsbeschluss wird hiermit ortsüblich bekannt gemacht. Gem. § 10 (3) BauGB tritt der Bebauungsplan Nr. 11 „Freiflächenphotovoltaikanlage Schläberig“ mit dieser Bekanntmachung in Kraft.
Der Planbereich des Bebauungsplans Nr. 11 „Freiflächenphotovoltaikanlage Schläberig“ und der Ausgleichsflächen ist in den nachstehenden Übersichtskarten dargestellt.

Abb. 2: Geltungsbereich Bebauungsplan Nr. 11 „Freiflächenphotovoltaikanlage Schläberig“.

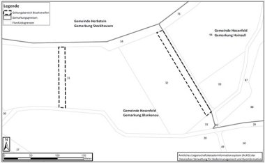
Abb. 3: Geltungsbereich Bebauungsplan Nr. 11 „Freiflächenphotovoltaikanlage Schläberig“ (Zusatzgeltungsbereich).
Einsichtnahme und Hinweise
Die Planunterlagen zu den oben genannten Bauleitplanverfahren mit den zugehörigen Unterlagen sowie den zusammenfassenden Erklärungen nach § 6a (1) bzw. § 10a (1) BauGB werden ab sofort im Bauamt der Gemeindeverwaltung Hosenfeld, Hainzeller Straße 1, 36154 Hosenfeld während der allgemeinen Dienststunden:
Montag bis Freitag 8:00 Uhr bis 12:00 Uhr
Mittwochs 14:00 Uhr bis 19:00 Uhr
für jede Person zur Einsicht bereitgehalten. Über den Inhalt wird auf Verlangen Auskunft erteilt. Die Dauer der Auslegung ist zeitlich nicht begrenzt.
Die Unterlagen zur Bauleitplanung können auch auf der Homepage der Gemeinde Hosenfeld unter folgendem Link https://www.gemeinde-hosenfeld.de/rathaus-politik/verwaltung/bebauungsplaene/ eingesehen und heruntergeladen werden. Ein entsprechender Verweis auf diese Seite erfolgt darüber hinaus im zentralen Internetportal des Landes Hessen unter https://bauleitplanung.hessen.de.
Gem. § 215 (1) BauGB werden
- eine nach § 214 (1) S. 1 Nr.1 bis 3 BauGB beachtliche Verletzung der dort bezeichneten Verfahrens- und Formvorschriften,
- eine unter Berücksichtigung des § 214 (2) BauGB beachtliche Verletzung der Vorschriften über das Verhältnis des Bebauungsplanes und des Flächennutzungsplanes und
- nach § 214 (3) S. 2 BauGB beachtliche Mängel des Abwägungsvorganges
unbeachtlich, wenn sie nicht innerhalb eines Jahres seit dieser Bekanntmachung des Flächennutzungsplans oder der Satzung schriftlich gegenüber der Gemeinde Hosenfeld unter Darlegung des die Verletzung begründeten Sachverhalts geltend gemacht worden sind.
Gem. § 44 (5) BauGB wird darauf hingewiesen, dass der Entschädigungsberechtigte nach § 44 (3) BauGB Entschädigung verlangen kann, wenn die in den §§ 39 – 42 BauGB bezeichneten Vermögensnachteile eingetreten sind. Er kann die Fälligkeit des Anspruchs dadurch herbeiführen, dass er die Leistung der Entschädigung schriftlich bei dem Entschädigungspflichtigen beantragt. Nach § 44 (4) BauGB erlischt der Entschädigungsanspruch, wenn nicht innerhalb von drei Jahren nach Ablauf des Kalenderjahres, in dem die o. g. Vermögensnachteile eingetreten sind, die Fälligkeit des Anspruchs herbeigeführt wird.
Hosenfeld, den 14.11.2025
gez. Frederik Hohnstein
Bürgermeister
